Bordeauxská doga - pes krytí
- [13.10. 2025]Zmazať/ Upraviť/ Topovať





















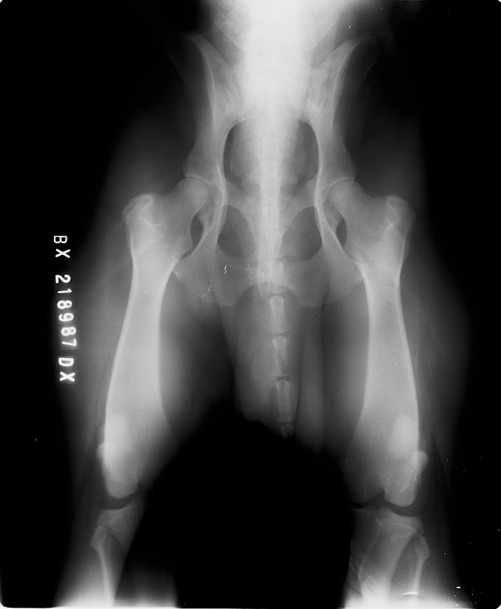
Hledáme nevěstu pro mladého psa BD s PP, Butch Coolidge dei Mastini del Goya, import Itálie, DKK AA, DLK 00, srdce OK, vyšetření sperma, vynikající pohyb, V1, CAC, Národní vítěz ČR, stáří 3 roky, perfektní povaha
|
| |||||||||||||||||||||||||||||||
Kontaktovať inzerenta e-mailom
Kontaktovať e-mailom môže iba overený užívateľ.
Overenie je zadarmo.
Vaše telefónne číslo *
Kontaktovať e-mailom môže iba overený užívateľ.
Overenie je zadarmo.
Vaše telefónne číslo *
